
Ciklon Yasi na obalu Queenslanda nasrnuo je vjetrovima jačine 290 kilometara na sat nešto iza ponoći po lokalnom vremenu. Krovovi kuća, zgrada i drugih građevina te drveća popuštaju pod naletima uraganskog vjetra, a jedan od velikih evakuacijskih centara u gradu Cairnsu ostao je bez struje, prenosi news.com.au.
Mrak se nadvio nad 2.500 uplašenih građana, koji su utočište potražili u tom centru. Vjetar u gradovima Townsville i Cairns toliko je jak da proizvodi zvukove slične vrisku.
"To je vrlo, vrlo smrtonosan i razoran ciklon. Na nesreću, vidjet ćemo značajno uništenje objekata... i vrlo vjerojatno ćemo biti svjedocima smrtnih slučajeva", izjavio je državni koordinator za katastrofe Ian Stewart na posljednjoj konferenciji za medije.
"Bez ikakve sumnje, čeka nas susret sa scenama uništenja i slomljenih srca bez presedana. Ovaj ciklon je nešto sa čime se dosad nismo suočili kao nacija", poručila je premijerka Queenslanda Anna Bligh.
Stanovništvo još uvijek bježi u prenatrpana skloništa, a ulice gradova u Queenslandu sablasno su puste. Lokalna policija primorana je ljude odvraćati od prenatrpanih skloništa i upućivati ih prema drugim lokacijama za skloništa.
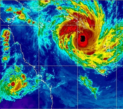
Ciklon Yasi, najavljen kao najveća oluja u povijesti Australije i koju mnogi već sad uspoređuju s razornim uraganom Katrinom, koji je 2005. godine poharao New Orleans, samo što nije stigao do obale australskog Queenslanda.
Australski meteorolozi predviđaju kako će Yasi zadržati snagu sve i do 1.000 kilometara od dolaska na kopno. Snaga će mu slabiti, ali će ući duboko u unutrašnjost kao oluja prve kategorije. Već sada 89.000 kućanstava ostala su bez struje, prenosi news.com.au.
Ciklon Yasi pogađa obalu u jeku plime, a već oko 22 sata po lokalnom vremenu u Townsvilleu zabilježen je plimni val 6,6 metara visine.
Na putu Yasija nalazi se područje naseljeno s više od 400.000 ljudi, uključujući gradove Cairns, Townsville i Mackay. Satelitske snimke pokazale su kako ciklon Yasi pokriva područje veće od Italije ili Novog Zelanda, a prerastao je petu kategoriju oluje, što predstavlja maksimum, izvijestila je agencija Reuters.
Očekuju se vjetrovi brzine i do 300 km/h, a australske vlasti upozoravaju kako najveća opasnost prijeti od velikih nanosa vode, koji mogu doseći i do četiri metra visine. Tisuće i tisuće građana bježe iz domova, koje su ionako već poharale nedavne katastrofalne poplave.
Škole, shopping centri i druge zgrade u gradu Cairnsu preuređeni su u masovna skloništa od oluje, u koja lokalno stanovništvo bježi, prenose lokalni mediji. Ciklon Yasi trenutno se nalazi 650 kilometara od obale sjeveroistoka Australije.
U međuvremenu, na jugu Australije divljaju požari. Državu Viktoriju u posljednja dva dana poharali su požari i uništili najmanje tri kuće. Uzrok požarima bilo je iskrenje s dalekovoda, prenijele su agencije.
Ukupno je izgorjelo 7.500 hektara šume i rastinja, a požari su lokalne vlasti danas stavile pod kontrolu. u utorak je u Melbourneu, glavnom gradu države Viktorije, izmjereno paklenih 40 stupnjeva Celzija.
(FENA/em)
PODIJELI NA
Depo.ba pratite putem društvenih mreža Twitter i Facebook