Arhiva

SVJETSKE BERZE
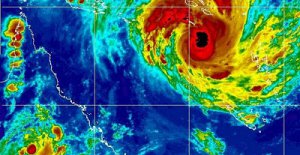
Cijene šećera najviše u posljednjih 30 godina Cijena šećera je na trgovanju na njujorškoj berzi u srijedu dostigla najviši nivo u posljednjih 30 godina, dok su kotacije na berzi u Londonu na petosedmičnom maksimumu zbog strahovanja da će uragan Yasi ugroziti rod šećerne trske u Australiji, koja je treć...
DAMIR ALAGIĆ
Miroslav Kutle je nevin i neće pobjeći iz BiH Miroslav Kultle je nevin i nema razloga da napušta Bosnu i Hercegovinu čiji je domicilni državljanin. Ovo je izjavio za agenciju CMC Kutlin odvjetnik Damir Alagić, demantirajući spekulacije hrvatskih medija da se Miroslav Kutle sprema na bijeg u Južnu Ameriku
LONDON
Predstavljen Google Art Project Kompanija Google u utorak je u Londonu predstavila svoju novu internet stranicu Google Art Project koji posjetiocima pruža priliku da virtualno "obiđu" neke od najpoznatijih muzeja svijeta
EGIPAT
Opozicija poziva na nastavak protesta, vojska traž... Egipatska opozicija pozvala je u srijedu na nastavak protesta i saopštila da će pregovarati s potpredsjednikom Omarom Sulejmanom tek kad predsjednik Hosni Mubarak ode s vlasti. Egipatska vojska pozvala je demonstrante da prekinu proteste, dodajući da je vri...